索引號:4303000006/2020-871874
發布機構:不動產信息公開
發布目錄:土地出讓公告
湘鄉市國有建設用地使用權網上掛牌出讓公告(潭鄉公土網掛(2020)018號)
湘鄉市人民政府門戶網站 m.yqfywz.cn 發布時間:2020-09-24 16:07
湘鄉市國有建設用地使用權網上掛牌出讓公告
根據有關法律、法規的規定,經湘鄉市人民政府批準,湘鄉市自然資源局決定以網上掛牌方式出讓下列地塊國有建設用地使用權,并授權湘潭市公共資源交易中心具體承辦。現將有關事項公告如下:
一、網上掛牌出讓國有建設用地使用權的基本情況和規劃指標要求:
| 掛牌編號 | 宗地坐落 | 出讓面積(㎡) | 土地狀況 | 規劃土地用途 | 出讓使用年限 | 規劃指標要求 | 起始價(萬元) | 保證金(萬元) | ||
| 容積率 | 建筑密度 | 綠地率 | ||||||||
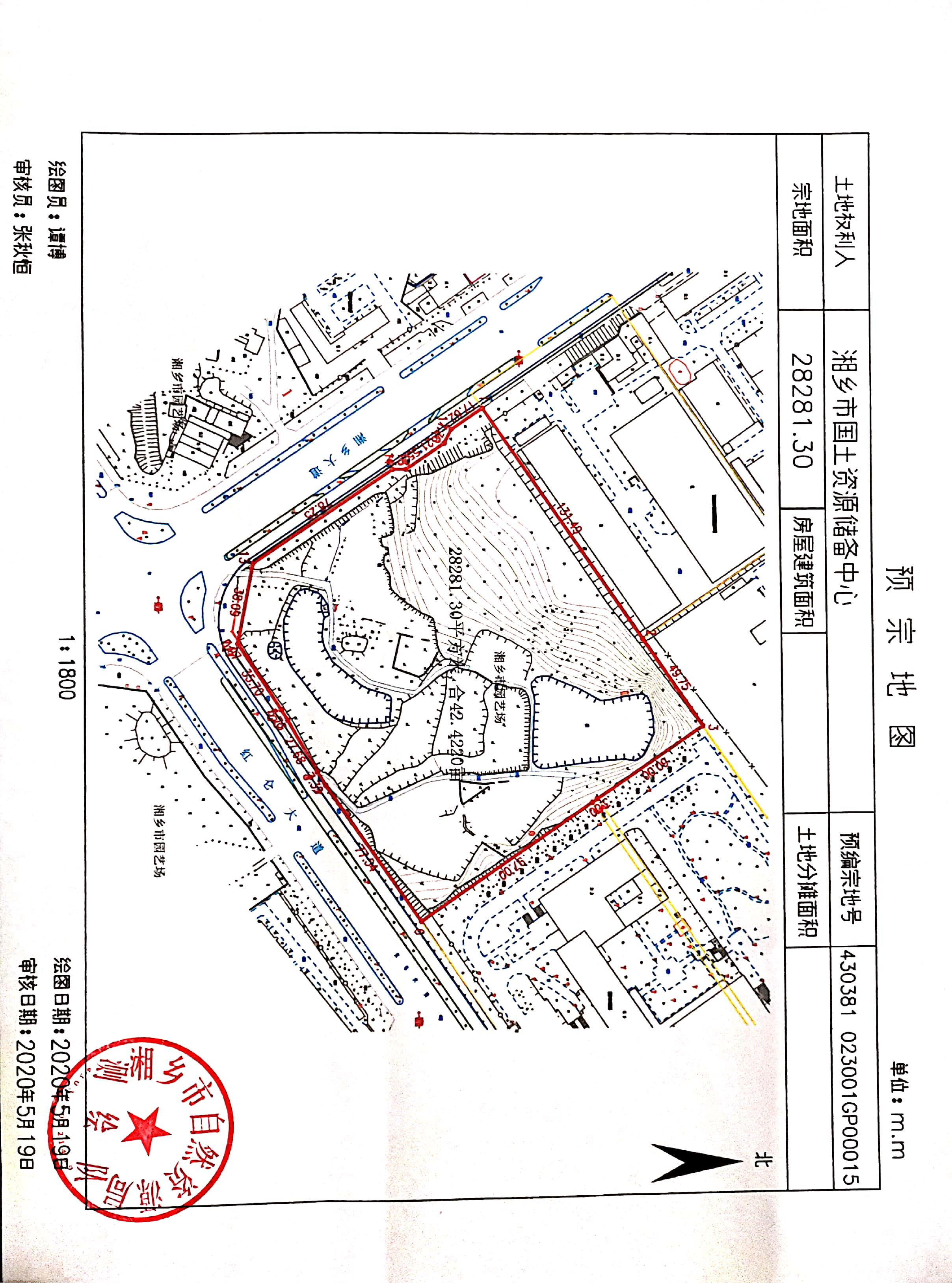
| 潭鄉公土網掛(2020)018號 | 湘鄉市經開區,湘鄉大道與紅侖大道交匯處東北角,市公安局以西,三聯環保以南 | 28281.30 | 現狀 | 商住(兼容20%商業用地) | 住宅70年、商業40年 | 2.0≤容積率≤2.5 | 30%≤建筑密度≤35% | 30%≤綠地率≤35% | 6746 | 6746 |
二、中華人民共和國境內外的法人、自然人和其它組織均可申請參加本宗地網上競價;申請人可以單獨申請,也可以聯合申請。
三、本次國有建設用地使用權網上掛牌出讓僅限于網上競價,按照價高者得的原則確定競得人。
本次國有建設用地使用權掛牌出讓在互聯網上交易,即通過湘潭市公共資源網上交易系統(http://ggzy.xiangtan.gov.cn/)進行。通過網上注冊、辦理數字證書、申請競買、按要求足額交納競買保證金的申請人,方可參加網上掛牌交易活動。
本次國有建設用地使用權掛牌為無底價掛牌。
四、本次網上掛牌出讓的詳細資料和具體要求,見《湘潭市國有建設用地使用權網上掛牌出讓辦法》、《土地交易系統競買操作手冊》和《湘潭市公共資源交易中心國有建設用地使用權網上掛牌出讓須知》等文件,有意競買者可登錄湘潭市公共資源網上交易系統查詢。申請人可于2020年8月28日22時30分至2020年9月28日16時00分,在網上瀏覽或下載本次掛牌出讓文件,并按上述文件規定的操作程序參加競買。
五、本次國有建設用地使用權掛牌出讓報名時間為2020年8月28日22時30分至2020年9月28日16時00分止, 掛牌報價時間為2020年9月17日22時30分起至2020年9月30日16時00分止。本次國有建設用地使用權掛牌截止時間:2020年9月30日16時00分。
六、申請人應當在掛牌報名截止前登錄湘潭市公共資源網上交易系統,并在系統上提交競買申請、生成競買申請書并點擊同意、獲取保證金子賬號、及時足額支付保證金。保證金到賬截止時間為2020年9月28日16時00分。掛牌報價時間截止時,網上掛牌期間進行過至少一次有效報價的競買人為有效競買人,經系統在五分鐘倒計時后,有效競買人自動進入網上限時競價程序。
七、在繳納競買保證金時,由于銀行之間、銀行與交易系統之間的數據傳輸存在延時,可能對競買人的競買資格產生影響,建議競買人在保證金到賬截止時間前盡早繳納保證金。
八、如果在參加本次網上掛牌出讓活動的過程中遇到疑難問題,請及時聯系,聯系電話如下:
國土交易業務咨詢電話:0731-56822221(湘鄉市自然資源局)
0731-52818262(湘潭市公共資源交易中心自然資源交易科)
系統使用服務咨詢電話:0731-52818268(湘潭市公共資源交易中心應用技術保障科)
辦理數字證書咨詢電話:400-6682666(湖南省數字認證服務中心)
湖南省自然資源廳舉報電話:0731-89991216
湘潭市公共資源交易中心
湘鄉市自然資源局
2020年8月28日
掃一掃在手機打開當前頁
相關解讀
- 全部留言
- /
- 評論
- 有用()

